
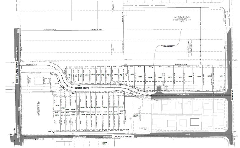
In Rock Island, Wash. we designed a 45-lot single-family residential development. The project included full civil engineering services to support infrastructure, drainage, and utility needs for all homes.
We use cookies to analyze website traffic and optimize your website experience. By accepting our use of cookies, your data will be aggregated with all other user data.